Why Do Ants Walk In A Line: मुंग्या या नेहमी एका सरळ रेषेतच का चालतात?

Surabhi Jayashree Jagdish

मुंगी

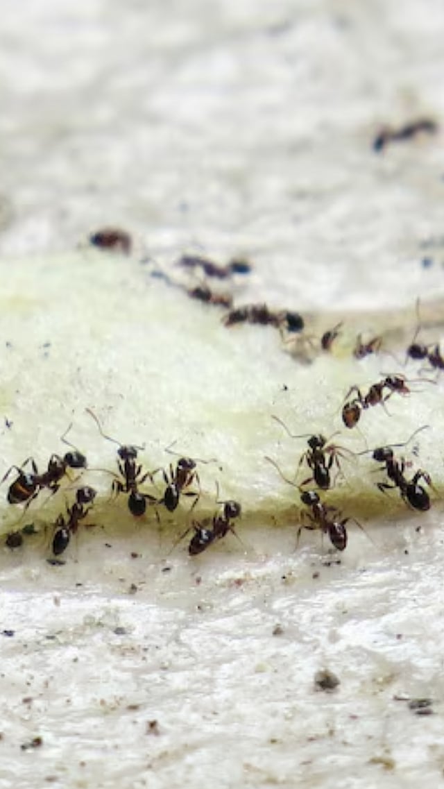
मुंग्यांना सरळ रेषेत चालण्याची सवय असते. याचं विशेष कारण आहे ते म्हणजे ‘फेरोमोन ट्रेल’.

रासायनिक सिग्नल

फेरोमोन ट्रेल हा एक प्रकारचा रासायनिक सिग्नल असून जो मुंग्या एकमेकांना मार्ग दाखवण्यासाठी सोडतात.

फेरोमोनचा मागोवा

मुंग्या सरळ चालतात याचं कारण म्हणजे त्यांच्या पुढील मुंगीने सोडलेल्या ‘फेरोमोन’चा त्या मागोवा घेतात.

मजबूत वाट

वाट जितकी मजबूत असेल, तितक्या जास्त मुंग्या त्या मार्गावरून वाटचाल करू शकतात.

अन्नस्रोत

असं केल्याने मुंग्या त्यांच्या अन्नस्रोतापर्यंत लवकर पोहोचू शकतात.

रस्ता

काही कारणाने फेरोमोन ट्रेल पुसला गेला तर मुंग्यांना त्यांचा रस्ता शोधण्यात अडचण येते.

महिला गुगलवर सर्वाधिक काय सर्च करतात, वाचून तुम्हाला बसेल धक्का

येथे क्लिक करा